Cheap Property for Sale
7,305 properties below €50,000 in 86 countries
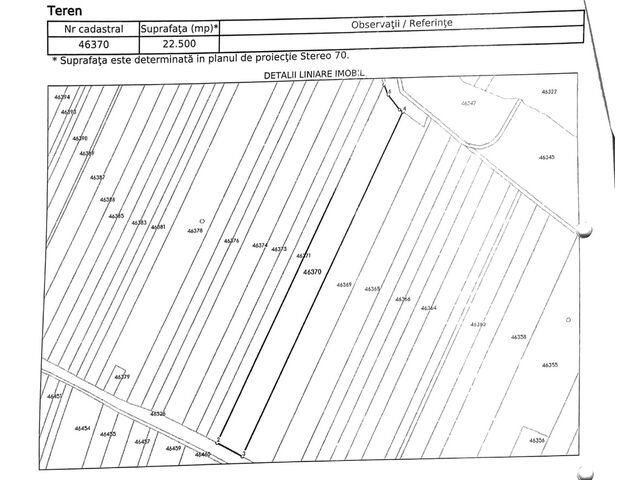
 Back to Property Details  Back to Property Details

Land - Photo Gallery