Cheap Property for Sale
6,065 properties
below €50,000 in
79 countries
Back to Search Results
Back to Search Results
Land
> Other Properties in United Kingdom · for sale & rent · up to €50,000
1 photo
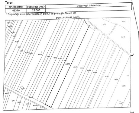
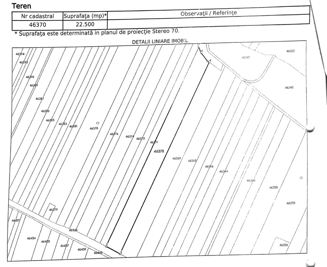
€ 22,500
£19,719.00
$26,496.00
Explore surroundings in Google maps
Loading...
Land
11500 square meters square
Site
Property ID: 71332
For:
Sale
Type:
Agriculture
Habitable:
Yes
Size of land:
11500 m²
Presently:
Rented
Romania
Tulcea
Address:
Topolog
Topolog
Contact me about this property for sale
Private Seller
There are some errors in the form.
First Name
Please enter your first name.
Last Name
Please enter your last name.
Phone Number
Email Address
Please enter your email address.
Query
I agree to save and process the entered data as explained in your
Privacy Policy
.
Please confirm that you allow us to save and process the entered data.
Please solve the captcha.